Supertifón Ragasa alcanza vientos de 234 km/h y amenaza Taiwán y norte filipino
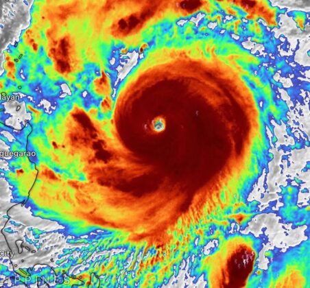
La Administración Meteorológica Central (CWA) de Taiwán emitió este domingo una alerta marítima ante el avance del supertifón Ragasa, que registra vientos de hasta 234 km/h y se desplaza en dirección noroeste a oeste a 19 km/h. La advertencia cubre los mares al sureste de Taiwán, incluyendo las islas Orquídea y Verde, así como el canal de Bashi, entre el norte de Filipinas y el sur de la isla taiwanesa.
Según la especialista de la CWA Wu Wan-hua, Ragasa provocará lluvias esporádicas este domingo en la ciudad de Keelung y en el condado de Hualien, mientras que su impacto más intenso se espera entre lunes y martes en el este de Taiwán y en regiones montañosas como Kaohsiung y Pingtung. La plataforma Zoom.earth pronostica que el ciclón podría tocar tierra en las Islas Batanes de Filipinas el lunes, con vientos de hasta 270 km/h.
Filipinas, por su parte, ordenó evacuaciones preventivas en varias zonas del norte del país. El Consejo para la Gestión de Desastres (NDRRMC) instruyó a las autoridades locales a movilizar de inmediato a las familias en riesgo y preparar centros de refugio temporal. Asimismo, se prohibió la salida de embarcaciones ante la cercanía del supertifón, conocido localmente como Nando.

Actualmente, Ragasa se encuentra a más de 500 kilómetros al este del archipiélago filipino y ya provoca lluvias intensas en Luzón y otras regiones centrales. Filipinas enfrenta cada año numerosos tifones y tormentas tropicales, con antecedentes recientes de sequencias devastadoras que han obligado a evacuar a cientos de miles de personas.
El supertifón Ragasa representa un riesgo significativo tanto para la población como para la infraestructura en Taiwán y el norte de Filipinas, donde las autoridades mantienen medidas preventivas mientras el sistema se fortalece en el Pacífico.

